Ref: spir1437




Bouwjaar: 1974
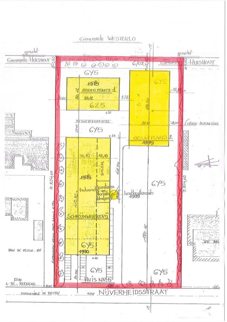
Omschrijving
Bedrijfsgebouw met ingebouwde kantoren, werkplaats, opslagplaatsen en parking op en met industriegrond ( groot open bebouwbaar terrein)
1) industriehal: opp. 4.650m²
2) opslagplaats nr.1: opp. 1.510m²
3) opslagplaats nr.2: opp. 2.604m²
Zie pdf plan op onze website: www.vandenvonder-decat.be onder "downloads"
1) industriehal: opp. 4.650m²
2) opslagplaats nr.1: opp. 1.510m²
3) opslagplaats nr.2: opp. 2.604m²
Zie pdf plan op onze website: www.vandenvonder-decat.be onder "downloads"
Ruimtelijke ordening
Bouwvergunning | Ja |
Recente bestemming | Industriegebied |
Dagvaardingen | Nee |
Voorkooprecht |
Ja
De Vlaamse waterweg NV
|
Verkavelingsvergunning | Nee |
Effectief overstromingsgevoelig |
Ja
|
Mogelijk overstromingsgevoelig | Ja |
Afgebakend overstromingsgebied | Nee |
Afgebakende oeverzone | Nee |
Financiële info
Prijs | Info op kantoor |
Bebouwing
Bouwjaar | 1974 |
Elektrisch keuringsattest | Niet ingegeven |
Renovatieplicht | Niet ingegeven |
Downloads
Alle aanbiedingen gelden onder voorbehoud van fouten, eerdere verkoop, prijswijzigingen of vergetelheid.