Ref: spir1906


7 slaapkamers
1895m2 grondopp.
EPC: 869 kWh/m2
Bouwjaar: 1962
Omschrijving
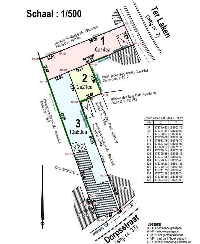
Prachtige projectgrond voor meergezinswoningen aan dorpsplein (Dorpsstraat) van maar liefst 18a95ca welke doorloopt en grenst aan Ter Laken (eveneens bebouwbaar). Op wandelafstand van alle benodigdheden, vlakbij school en Kasteeldomein Ter Laken. Metingskosten €968,- per lot ten laste van kopers.
Info/plaatsbezoek via www.vandenvonder-decat.be (plan zie rechts onderaan bij downloads) of 0473/245102.
Info/plaatsbezoek via www.vandenvonder-decat.be (plan zie rechts onderaan bij downloads) of 0473/245102.
Ruimtelijke ordening
Recente bestemming | Niet ingegeven |
Effectief overstromingsgevoelig | Nee |
Mogelijk overstromingsgevoelig | Nee |
Afgebakend overstromingsgebied | Nee |
Afgebakende oeverzone | Nee |
Risicozone voor overstromingen | Nee |
EPC gegevens
EPC waarde | 869 kWh/m² |
869
Financiële info
Prijs | Info op kantoor |
Bebouwing
Bouwjaar | 1962 |
Aantal slaapkamers | 7 |
Grond oppervlakte | 1895 m² |
Renovatieplicht | Niet ingegeven |
Downloads
Alle aanbiedingen gelden onder voorbehoud van fouten, eerdere verkoop, prijswijzigingen of vergetelheid.