Ref: spir1698


















3 slaapkamers
1 badkamer
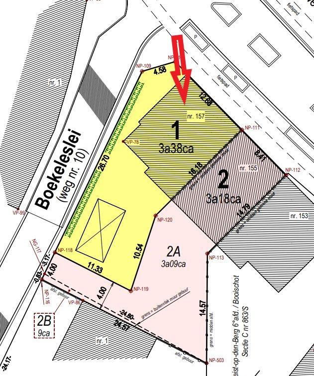
338m2 grondopp.
EPC: 512 kWh/m2
Omschrijving
Volledig te renoveren woning bestaande uit:
Veranda, leefruimte, keuken, badkamer, hal, 3 slaapkamers, inpandige garage.
Metingskosten (€907.50 incl. btw) ten laste van de koper (zie metingsplan in bijlage (LOT 1) op onze website, rechts onderaan bij "downloads")
Voor info/bezichtiging: 0470/76.35.39
Veranda, leefruimte, keuken, badkamer, hal, 3 slaapkamers, inpandige garage.
Metingskosten (€907.50 incl. btw) ten laste van de koper (zie metingsplan in bijlage (LOT 1) op onze website, rechts onderaan bij "downloads")
Voor info/bezichtiging: 0470/76.35.39
Ruimtelijke ordening
Bouwvergunning | Nee |
Recente bestemming | Woongebied |
Dagvaardingen | Nee |
Voorkooprecht | Nee |
Verkavelingsvergunning | Nee |
Effectief overstromingsgevoelig | Nee |
Mogelijk overstromingsgevoelig | Nee |
Afgebakend overstromingsgebied | Nee |
Afgebakende oeverzone | Nee |
Risicozone voor overstromingen | Nee |
EPC gegevens
EPC n° | 20210208-0002370434-RES-1 |
Energieklasse label |
F
![]() |
EPC waarde | 512 kWh/m² |
512
Financiële info
Prijs | Info op kantoor |
Overige Info
Tuin aanwezig | ja |
Aantal garages | 1 |
Bebouwing
Bebouwing | halfopen |
Aantal slaapkamers | 3 |
Aantal badkamers | 1 |
Staat | Te renoveren |
Grond oppervlakte | 338 m² |
Kadastraleafdeling | HEIST-OP-DEN-BERG 6 AFD/BOOISCH |
Kadastralesectie | C |
Kadastraleaard | Huis |
Perceelnummer | 863K |
Elektrisch keuringsattest | Verkregen, niet conform |
Renovatieplicht | Niet ingegeven |
Alle aanbiedingen gelden onder voorbehoud van fouten, eerdere verkoop, prijswijzigingen of vergetelheid.